
Google地图记载的卫星照片
“我喜欢听这里海水冲击的声音,管它是海浪还是瀑布。”——Mike May
全世界每一个海洋对我(原文作者)来说都是不同的,而不同之处常常是水。空气闻上去都是另一番体验,海风裹着凉意轻轻吹向你,每次踏进这片天地,都能回忆起去过的所有海洋的魅力。我至今还无法忘怀海边的小屋。
但是,知道上周我才知道世界上还存在这样一片神奇的海:藏于海面以下的瀑布!!!

美丽的毛里求斯
没错,在印度洋毛里求斯海岛不远处,汇聚了印度洋全部魅力的海域上,你会发现你从未见过的神奇景象。这种景观从空中眺望更为壮观。

就连Google地图都收录了
既然你已经看到了这如幻的一幕,那么你也想知道这到底是怎么回事,很明显,你看到的都是水,虽然聪明的我们知道冷水会往下流,但是即便是再冷的水也不会像图片里这样流动。
其实,这一切都是神奇而又有趣的地质现象。

和很多海岛一样,毛里求斯周围有许多美丽的礁石,这些礁石是世界上最绚丽的生态系统。但是毛里求斯和大多数海岛不同,毛里求斯周围的大陆和海景在地质历史上非常年轻。

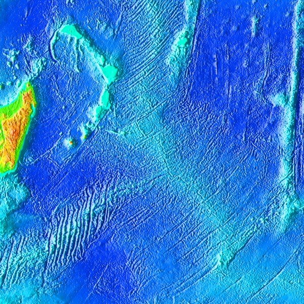
红外成像,红色部分是高温区
毛里求斯位于馬斯克林深海高原南侧边缘,上图11点位置可以看到很明显的海洋架(几乎在海面下)。下图是从国际空间站拍摄的图片,可以看到包括毛里求斯在内的好几个小岛。

国际空间站拍摄的照片,图中还可看见喷涌的岩浆
年轻海洋架于近几百万年内形成,在海床扩张作用下,形成了年轻的海底高原。高原周围是极高的落差,毛里求斯岛屿周围的海水深度在8米-150米。海底的细沙和淤泥顺着洋流源源不断的流向地势稍高的大陆架边缘,然后顺着大陆架边缘坠入数千米深的海底。

而图片中看到的海底瀑布只是泥沙造成的错觉,你能从图片中看到的最深处不过只有20多米。